Antracnosi: come riconoscerla e difendere le piante da questa malattia
Le piante, specialmente quelle coltivate in giardini, orti o frutteti, possono essere colpite da diverse malattie che ne compromettono la crescita e la produzione. Una delle più frequenti è l’antracnosi, una malattia di origine fungina. Questo problema non è raro e, anche se in genere non è grave al punto da uccidere la pianta, può danneggiarne le foglie, ridurre la qualità dei frutti e rendere necessarie alcune azioni per evitarne la diffusione. L’antracnosi colpisce molte varietà di piante e si sviluppa soprattutto quando ci sono condizioni di umidità elevate e temperature miti.

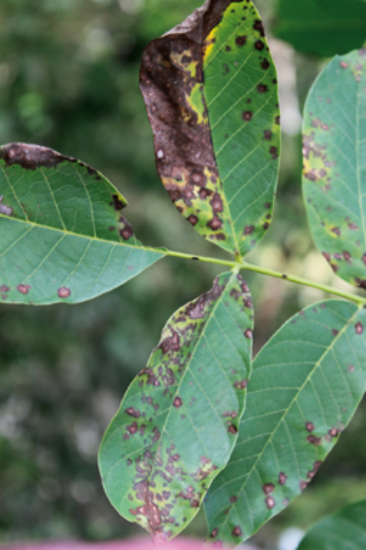
Si riconosce dalla presenza di macchie scure o marroni sulle foglie, che con il tempo possono diventare necrotiche, ovvero morte. Le foglie danneggiate possono cadere prematuramente, ma anche i fusti e i frutti possono mostrare segni di infezione. I funghi responsabili di questa malattia, come quelli del genere Colletotrichum, possono sopravvivere nei residui di piante malate lasciati a terra o nel suolo. Inoltre, si diffondono facilmente con il vento o con l’acqua, soprattutto dopo piogge abbondanti.

Le piante più colpite sono diverse: alberi da frutto come ciliegi, noci e viti, arbusti come le ortensie, ma anche ortaggi come pomodori, fagioli, cetrioli e piselli. Per limitarne la diffusione, è importante intervenire appena si notano i primi sintomi. La rimozione delle foglie e dei rami infetti è una delle prime cose da fare, preferibilmente bruciandoli per evitare che il fungo si propaghi. Durante l’inverno si consiglia di potare le piante colpite per aiutarle a riprendersi, e di disinfettare sempre gli strumenti da potatura prima e dopo l’uso per evitare di contaminare altre piante.
Un rimedio molto usato è il trattamento con la miscela bordolese, un prodotto a base di rame che va spruzzato sulle piante a fine inverno o all’inizio della primavera. È importante evitare di farlo durante le gelate, perché il freddo può ridurne l’efficacia. Anche pratiche come la rotazione delle colture, la pulizia regolare dell’orto e un buon drenaggio del terreno possono aiutare a prevenire nuovi casi di antracnosi. In sintesi, è una malattia da tenere sotto controllo, ma con interventi semplici e mirati può essere gestita senza troppe difficoltà.